I'm ready for my new family!

River

I'm Available

Update: River has officially been discharged and is now safe, surrounded by love in the care of one of Gold Ribbon Rescue’s experienced medical fosters. After a rough beginning, River is finally on the road to recovery—and it’s all because of YOU.

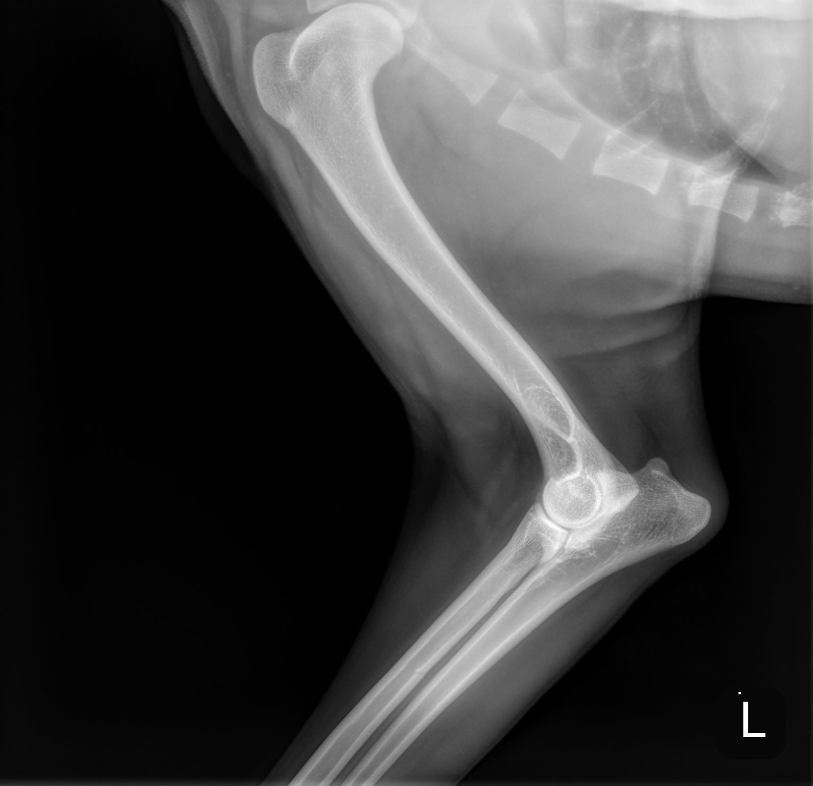
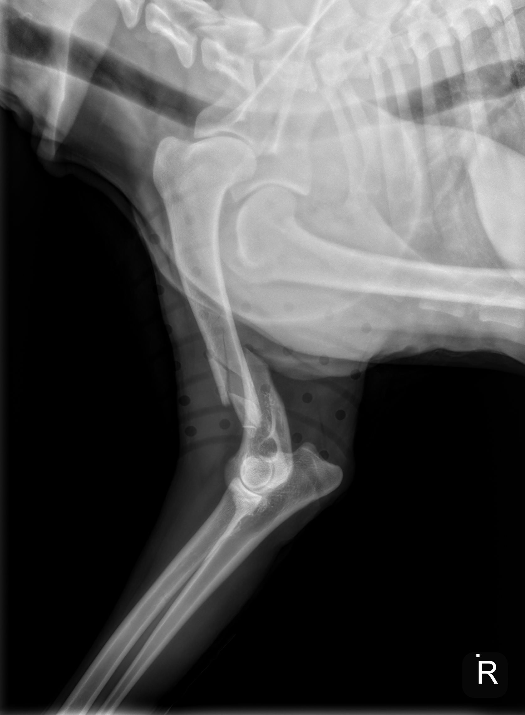
River is a sweet, gentle 1 1/2 year old golden, who had a tragic fall down a flight of stairs and fractured his humerus bone. Due to financial hardship and the physical challenges of navigating multiple flights of stairs, River’s family made the heartbreaking decision to surrender him to GRR so he could receive the care he desperately needed.

This type of injury is incredibly painful and requires specialized surgery to repair. Without it, River’s chances of ever walking, playing, or living a pain-free life are at risk. Watching him struggle to stand and looking into his eyes as he winces in pain is heartbreaking.

On Tuesday (10/30/2025) afternoon, his leg was surgically repaired using plates, screws & pins.  We are hoping his will be fully recovered in 8 weeks. 

  • Golden Retriever
  • Male
  • 1 Year OldMy DoB is 05/07/2024
  • 41 - 50 Pounds
  • Gold - Medium
  • Active and Playful
  • I Like Kids Over 10
  • I Like Select Dogs
  • I Like Some Cats
  • I Have Not Been Tested with Farm Animals
  • $ 550.00
Special Needs (Medical)
Medical Condition
Apply To Adopt River
DONATE NOW       Help us take care of River

  Sign Up For Our Newsletter

Please sign up for our newsletter for dog related tips and tricks and to get updates on our dogs & events!

X